
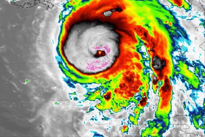
Hurricane Michael is heading for the Gulf coast as a category 3 storm.
HOLT, Fla., Oct. 9, 2018, 10 p.m.—There has been little change in Hurricane Michael’s forecast track according to the National Hurricane Center’s 10 p.m. update.
Additionally, Michael is now forecast to become a category 4 hurricane with 130 mph winds before landfall occurs.
The dangerous hurricane is expected to move northward to north-northeastward and make landfall along the coast of the central panhandle of Florida by late Wednesday afternoon, according to the NHC.
The National Weather Service in Tallahassee expects landfall somewhere between Panama City Beach and Mexico Beach, according to its Twitter feed.
Tropical storm conditions are expected to reach the hurricane warning area by Wednesday morning.
Everyone in the hurricane warning area along the Florida Gulf Coast should prepare for life-threatening major hurricane winds associated with the core of Michael, according to the NHC.
Hurricane force winds will also extend well inland across portions of the Florida panhandle.
Hurricane-force winds extend outward up to 45 miles from the center and tropical-storm-force winds extend outward up to 175 miles.
This area can expect tropical winds of 58-to-73 mph, according to the National Weather Service in Mobile, and the tornado threat is low.